Teren przy dworcu kolejowym na sprzedaż
(Zam: 16.02.2021 r., godz. 14.16)W mediach społecznościowych powstało już wydarzenie „Jesteśmy przeciw sprzedaży parku kolejowego”, w którym czytamy „Gmina zamierza sprzedać pod budownictwo usługowe część (nie oszukujmy się finalnie prawdopodobnie sprzeda cały) tzw. parku kolejowego. Jeżeli na to lekką ręką pozwolimy, przepadnie nam ważny kawałek miasta, który praktycznie uniemożliwi w przyszłości rozwój bazy wyszkowskiego dworca PKP. W Wyszkowie mamy mnóstwo terenów usługowych, wiele cennych terenów zostało już w nie przekształcone. Wyprzedawanie na potęgę własnego majątku naprawdę nie jest sposobem na rozwój miasta. Raz sprzedany strategiczny punkt miasta może być w przyszłość już nie do odzyskania. Jeszcze nie jest za późno. Jeszcze jest czas na wywarcie skutecznej presji.”.
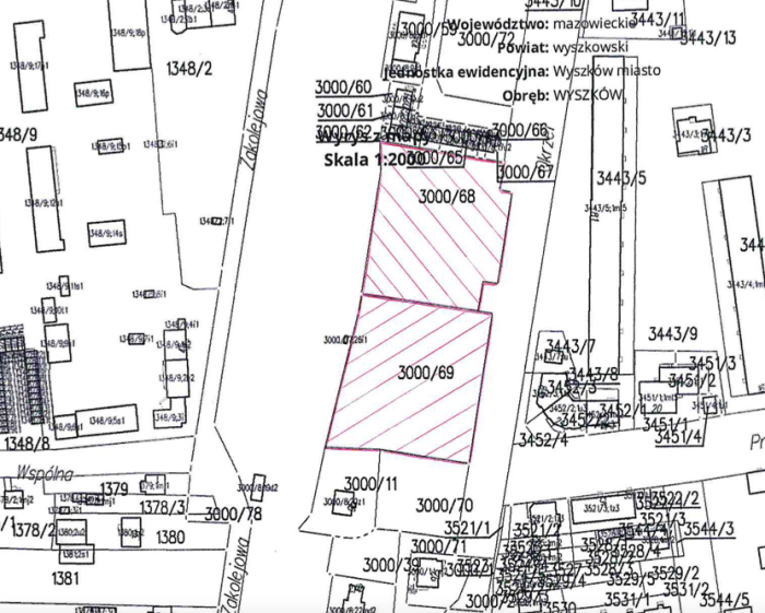
Działki są w użytkowaniu wieczystym gminy Wyszków i stanowią własność Skarbu Państwa. Wartość rynkową prawa użytkowania wieczystego nieruchomości o powierzchni 4 983 m2 wyceniono na 1 553 300 zł złotych brutto (311,72 zł/m2), a nieruchomości o pow. 5 305 m2 - 1 653 700 zł brutto (311,72 zł/m2).
To tereny niezabudowane, a więc nieobejmujące ani terenu dworca ani istniejących budynków usługowych. Ich sprzedaż, o ile zgodzą się radni, nastąpić ma w drodze przetargu.
J.P.
Komentarze
hahahaha
Dodane przez laki, w dniu 16.02.2021 r., godz. 16.02
Pewnie nieruchomość nabędzie jeden z "mieszkańców Wyszkowa"
Dodane przez laki, w dniu 16.02.2021 r., godz. 16.02
Pewnie nieruchomość nabędzie jeden z "mieszkańców Wyszkowa"
plan długofalowy
Dodane przez Jola Jolka, w dniu 16.02.2021 r., godz. 17.21
Od dawna na to się zanosiło. Przecież od 20 lat mógł być tu mały park, ktorego brak mieszkańcom osiedla. Po co komu następne usługi? Mało to lokali stoi niewynajetych w mieście? Ale nie, "jenteres" musi się kręcić. Rajcowie, opamietajcie się bo was nie wybiorą na następną kadencję.
Dodane przez Jola Jolka, w dniu 16.02.2021 r., godz. 17.21
Od dawna na to się zanosiło. Przecież od 20 lat mógł być tu mały park, ktorego brak mieszkańcom osiedla. Po co komu następne usługi? Mało to lokali stoi niewynajetych w mieście? Ale nie, "jenteres" musi się kręcić. Rajcowie, opamietajcie się bo was nie wybiorą na następną kadencję.
ola
Dodane przez Anonim, w dniu 16.02.2021 r., godz. 17.44
teren w takiej lokalizacji nadaje się tylko na toaletę dla psów i innych obszczymurków - jak można było tak zaniedbać okolice dworców pkp i pks w powiatowym mieście! - wstyd i hańba dla włodarzy - centralna Polska, stolica za miedzą a tu taki "kwiatek", zresztą są i inne - dobrze, że znalazł się prywatny inwestor i buduje coś na Prostej w miejsce tzw. organek
Dodane przez Anonim, w dniu 16.02.2021 r., godz. 17.44
teren w takiej lokalizacji nadaje się tylko na toaletę dla psów i innych obszczymurków - jak można było tak zaniedbać okolice dworców pkp i pks w powiatowym mieście! - wstyd i hańba dla włodarzy - centralna Polska, stolica za miedzą a tu taki "kwiatek", zresztą są i inne - dobrze, że znalazł się prywatny inwestor i buduje coś na Prostej w miejsce tzw. organek
Park i parking
Dodane przez Monter, w dniu 16.02.2021 r., godz. 19.22
Miał być parking i teren zielony ! Co z tymi planami ? Teraz mają być usługi. Panie burmistrz co Pan bredzi.
Dodane przez Monter, w dniu 16.02.2021 r., godz. 19.22
Miał być parking i teren zielony ! Co z tymi planami ? Teraz mają być usługi. Panie burmistrz co Pan bredzi.
Dodane przez Anonim, w dniu 16.02.2021 r., godz. 19.42
Z daleka nie śmierdzi a cuchnie !! Wiadomo o co chodzi
Z daleka nie śmierdzi a cuchnie !! Wiadomo o co chodzi
Dodane przez 123, w dniu 16.02.2021 r., godz. 21.11
Parking jaki został wybudowany przy ulicy przemysłowej (dla Pana Borka i Zyska, bo obok ich firm), powinien być właśnie wybudowany na terenie przeznaczonym do sprzedaży obok PKP i bazy PKS, skąd odjeżdżają autobusy do Warszawy i okolicznych miejscowości, jednocześnie blisko szkół i targowiska, gdzie notorycznie brakuje miejsc. Panie GBurmustrzu, czy ty myślisz, ze mieszkańcy są idiotami i nic nie widza ?
Parking jaki został wybudowany przy ulicy przemysłowej (dla Pana Borka i Zyska, bo obok ich firm), powinien być właśnie wybudowany na terenie przeznaczonym do sprzedaży obok PKP i bazy PKS, skąd odjeżdżają autobusy do Warszawy i okolicznych miejscowości, jednocześnie blisko szkół i targowiska, gdzie notorycznie brakuje miejsc. Panie GBurmustrzu, czy ty myślisz, ze mieszkańcy są idiotami i nic nie widza ?
Dodane przez 123, w dniu 16.02.2021 r., godz. 21.51
Sprzedadzą teren, bo kasa potrzebna na wykup gruntu od Tesco i budowe drogi do galerii jaka ma dopiero budować Pan Zysk. Taka sprawiedliwość i zrównoważony rozwój Nowosielskiego, ludzie mieszkają po kilkadziesiąt lat i drogi jak na Ukrainie, przejechać i przejść nie można, a Zysk jeszcze budowy nie rozpoczął i droga jest budowana za grube miliony. Czy nie za dużo inwestycji obok biznesów tego Pana, plac miejski za 12 milionów, parking za pare milionów, a teraz droga za kolejne miliony ? Nie wspomnę o zmianie planu terenu LOk, również dla tego Pana, czy to przypadek ?
Sprzedadzą teren, bo kasa potrzebna na wykup gruntu od Tesco i budowe drogi do galerii jaka ma dopiero budować Pan Zysk. Taka sprawiedliwość i zrównoważony rozwój Nowosielskiego, ludzie mieszkają po kilkadziesiąt lat i drogi jak na Ukrainie, przejechać i przejść nie można, a Zysk jeszcze budowy nie rozpoczął i droga jest budowana za grube miliony. Czy nie za dużo inwestycji obok biznesów tego Pana, plac miejski za 12 milionów, parking za pare milionów, a teraz droga za kolejne miliony ? Nie wspomnę o zmianie planu terenu LOk, również dla tego Pana, czy to przypadek ?
Dodane przez ~(), w dniu 17.02.2021 r., godz. 05.27
jeszcze mało? w końcu kiedyś się cba zainteresuje, a wszystkiego się nie wyda w więziennej kantynie.
jeszcze mało? w końcu kiedyś się cba zainteresuje, a wszystkiego się nie wyda w więziennej kantynie.
Eureka
Dodane przez Alan44, w dniu 17.02.2021 r., godz. 09.16
Brawo, brawo brawo dla Pani Kozon za genialny plan sprzedaży . Ciekawe kto będzie beneficjentem ten transakcji i czy Pani Naczelnik zna już inwestora ? Myślę , że kres tej władzy, układów, kolesiostwa kiedyś się skończy . Na koniec proponuje ,aby ,,klakierzy" Pana burmistrza podjęli uchwałę o przyznaniu tak wybitnym ,,urzędnikom" medali za arogancję i poplecznictwo coś na wzór Budowniczy swojej kariery i Pana Burmistrza
Dodane przez Alan44, w dniu 17.02.2021 r., godz. 09.16
Brawo, brawo brawo dla Pani Kozon za genialny plan sprzedaży . Ciekawe kto będzie beneficjentem ten transakcji i czy Pani Naczelnik zna już inwestora ? Myślę , że kres tej władzy, układów, kolesiostwa kiedyś się skończy . Na koniec proponuje ,aby ,,klakierzy" Pana burmistrza podjęli uchwałę o przyznaniu tak wybitnym ,,urzędnikom" medali za arogancję i poplecznictwo coś na wzór Budowniczy swojej kariery i Pana Burmistrza
hahahaha
Dodane przez laki, w dniu 17.02.2021 r., godz. 09.50
a tresowane małpki rączki do góry podniosą
Dodane przez laki, w dniu 17.02.2021 r., godz. 09.50
a tresowane małpki rączki do góry podniosą
Prędko, pręciutko
Dodane przez Neo, w dniu 17.02.2021 r., godz. 13.53
Ani planisty, ani urbanisty celem wypracowania planów oraz standardów, z udziałem mieszkańców. Burnistrz ma plan zagospodarowania przestrzennego, a to co nie jest objęte planem uzupełnia wz-tka. Zabuduje wszystko bez zachowania standardów stref funkcjonalnych. W Wyszkowie zabudowa wysoka powstaje w sąsiedztwie budynków jednorodzinnych co jest ewidentnym naruszeniem zasady dobrosąsiedztwa. Brak rezerwacji terenów na parkingu i tereny zielone woku bloków. Spieszą się ze sprzedażą wszystkiego co można, z zamianą, z zabudową -ciekawe dlaczego? Przyglądam się z podziwem.
Dodane przez Neo, w dniu 17.02.2021 r., godz. 13.53
Ani planisty, ani urbanisty celem wypracowania planów oraz standardów, z udziałem mieszkańców. Burnistrz ma plan zagospodarowania przestrzennego, a to co nie jest objęte planem uzupełnia wz-tka. Zabuduje wszystko bez zachowania standardów stref funkcjonalnych. W Wyszkowie zabudowa wysoka powstaje w sąsiedztwie budynków jednorodzinnych co jest ewidentnym naruszeniem zasady dobrosąsiedztwa. Brak rezerwacji terenów na parkingu i tereny zielone woku bloków. Spieszą się ze sprzedażą wszystkiego co można, z zamianą, z zabudową -ciekawe dlaczego? Przyglądam się z podziwem.
Napisz komentarz
- Komentarze naruszające netykietę nie będą publikowane.
- Komentarze promujące własne np. strony, produkty itp. nie będą publikowane.
- Za treść komentarza odpowiada jego autor.
- Regulamin komentowania w serwisie wyszkowiak.pl




